sovetchitsa
Советчица
Вход Регистрация
Спросить Советую Промо публикация Поиск товара
Настройки
Язык меню: ru ua Шрифт: a a a
Служба поддержки
Вход Регистрация
Правила | Ограничения | Cookies
©2008—2025 Советчица Kidstaff
Советчица - Семья, Дом, Дети - Домашние животные
anonim_208
Щедрик ведрик• 11 января в 12:22

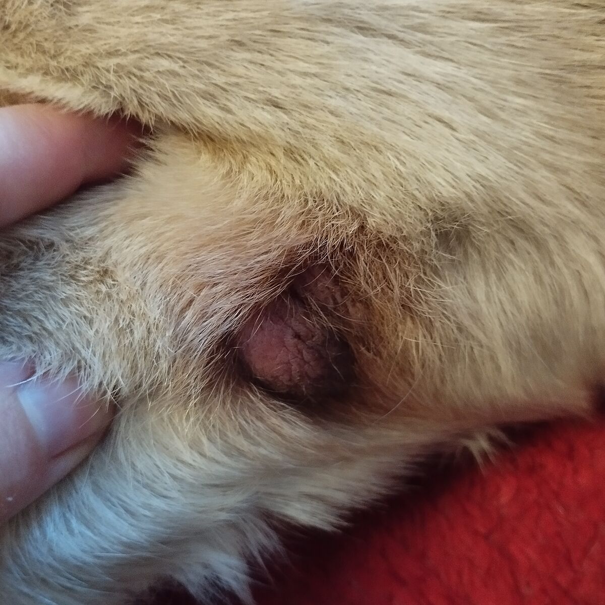
Шишка у лабрадора на лікті

В нього мозолі постійно. Бо спить на голій підлозі . Не любить ніякі підстилки . З мозолями нічого не робила. Але сьогодні побачила шишку . Вона м´яка . Знаходжусь в селі. Як я можу допомогти собаці ?
attached-photo
8 0
Все фото темыКомментарии автораМои ответы
anonim_59
Моль Моллівна• 11 января в 12:26
1
у маминого таке було вже в 13 років, ще рік прожив
anonim_208
автор Щедрик ведрик • 11 января в 12:27
2
Ответ дляМоль Моллівна
у маминого таке було вже в 13 років, ще рік прожив
Нашому 6 років
anonim_59
Моль Моллівна• 11 января в 12:39
3
Ответ дляЩедрик ведрик
Нашому 6 років
знайдіть форуми власників собак і покажіть фото там.
anonim_117
Бабця в мештах• 11 января в 12:41
4
Я нарукавники шила своему, но надо сначала неделю воевать, ,то бы не грыз их)
anonim_208
автор Щедрик ведрик • 11 января в 12:42
5
Ответ дляБабця в мештах
Я нарукавники шила своему, но надо сначала неделю воевать, ,то бы не грыз их)
Он в нарукавниках все время ? Большую часть времени мой спит на полу
anonim_117
Бабця в мештах• 11 января в 12:44
6
Ответ дляЩедрик ведрик
Он в нарукавниках все время ? Большую часть времени мой спит на полу
Дома только. С улицы приходим, моем лапы и надеваем. А по другому до крови трескались, воспалялись, вообщем да - это такой неприятный момент.
anonim_208
автор Щедрик ведрик • 11 января в 12:46
7
Ответ дляБабця в мештах
Дома только. С улицы приходим, моем лапы и надеваем. А по другому до крови трескались, воспалялись, вообщем да - это такой неприятный момент.
Ясно. Спасибо
heart 1
anonim_157
Гидроусилитель руля• 11 января в 15:33
8
Може бути онкологія, ідіть до ветеринара
Мнения, изложенные в теме, передают взгляды авторов и не отражают позицию Kidstaff
Тема закрыта

Похожие темы:

Ще з цiкавого


Популярные вопросы!

Сегодня Вчера 7 дней 30 дней

ещё

Сейчас читают!

Назад Комментарии к ответу

О нас | Служба Поддержки | Помощь

Правила | Ограничения | Cookies ©2008—2025 Советчица Kidstaff